Продам будинок біля лісу Тарасівка 237 м2, 9 сот, 72000 у.о. (№ 22-408-963)
Ціна: 72 000 $

Характеристики
Ціна: | 72 000 $ |
---|---|
№ об'єкта: | 22-408-963 |
Тип: | будинок |
Поверхів: | 2 |
Площа будинку: | 237 м2 |
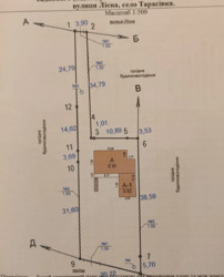
Ділянка: | 9 сот |
єОселя 3%: | + |
єОселя 7%: | + |
Додатково: | гараж |
Адреса: Київська, Фастівський, Тарасівка, Лісна, 14
Продається будинок з ділянкою, Продається будинок без ремонту 237м2 ,земельна ділянка 9,6 соток з виїздом на дві сторони
Введений в експлуатацію
Всі документи в наявності готовий до продажу
12 кілометрів від Києва сТарасівка Києво-Святошинський р-н.
поряд ліс, озеро, школа, садок, магазини,н-почта, зупинка транспорту, залізнична станція, ринок.
Стіни: блок'Аерок' марки- 300(самий теплий) товщина 375мм;
криша: металопрофіль (Німеччина) утеплення мінвата 250мм.
Комунікації: септик, скважина, електрика 2поверхи+ цокольне приміщення, підвал з погребом,гараж, на другому поверсі тераса.
Можлива оплата криптою!!!
Також державна програма (Житловий сертифікат)
Дзвоніть,пишіть відповім на всі питання
Відстань до найближчого міста: до 5 км.;
Кількість кімнат: 4;
Тип будинку: Будинок;
Рік побудови / здачі: Після 2015;
Тип стін: Шлакоблочний;
Тип покрівлі: Металошифер;
Cанвузол: 2 і більше;
Опалення: Індивідуальне електро;
Меблювання: Ні;
Мультимедіа: Швидкісний інтернет;
Комфорт: Тераса, Гараж, Підсобні приміщення;
Комунікації: Каналізація септик, Свердловина, Асфальтована дорога, Електрика;
Інфраструктура (до 500 метрів): Школа, Дитячий садок, Залізнична станція, Аптека, Зупинка транспорту, Відділення пошти, Дитячий майданчик, Магазин, кіоск, Парк, зелена зона;